Nomenclature
Common Name:
Synonym(s):
Genus species:
Family:
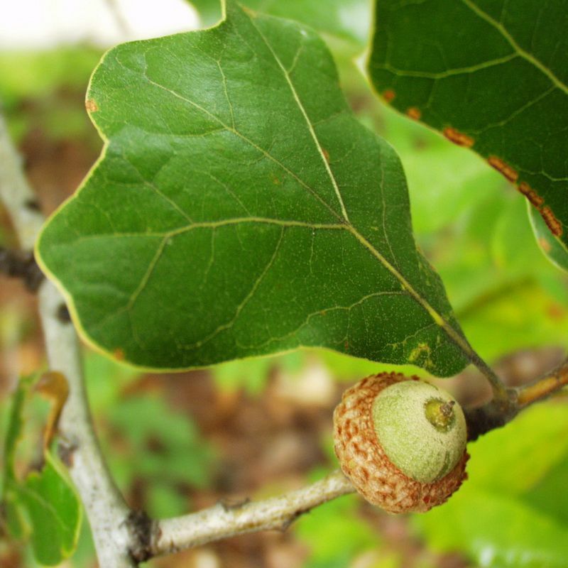
Fagaceae
Plant Specifics
Form:
Size:
Life Span:
Long-lived perennial
Flower Color:
Fruit Color:
Phenology:
Noted For:
Landscaping
Recommended Uses:
Considerations:
Availability:
Propagation:
Light:
Moisture Tolerance:
Always Flooded------------------------------------------------Extremely Dry
Coming Soon!
Not wet but not extremely dry ---to--- Very long very dry periods
Salt Water Flooding Tolerance:
Unknown
Salt Spray/Salty Soil Tolerance:
Low/no tolerance of salty wind or direct salt spray
Soil or Other Substrate:
Sand
Soil pH:
Suitable to Grow In:
8A,8B,9A,9B
Ecology
Wildlife:
Host plant for the White-M Hairstreak and Horace's Duskywing butterflies.
- The acorns are eaten by woodpeckers, blue jays, white-breasted nuthatches, American crows and wild turkey
- Attracts small mammals including squirrels, white-tailed deer and black bear.
Native Habitats:
Natural Range in Florida:
Visit the USF Libraries Atlas of Florida Plants
Comments:
Ethnobotany:
General Comments:




